Projekty Uchwał na LVI Sesję Rady Miejskiej w Śremie

Projekty Uchwał na LVI Sesję Rady Miejskiej w Śremie

29 09 2006r.,godz. 11.00 (w trakcie uzupełniania)

Projekt uchwały w sprawie w sprawie wyrażenia zgody na udzielenie bonifikaty przy przekształcaniu prawa użytkowania wieczystego gruntu w prawo własności

Załącznik

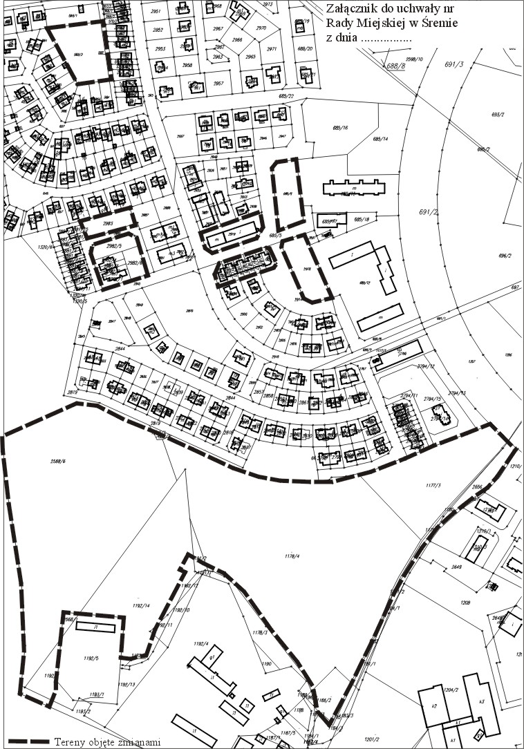
Projekt uchwały w sprawie miejscowego planu zagosopodarowania przestrzennego dla obszaru w rejonie ulicy Leśnej we wsi Psarskie

Załącznik Nr 1

Załącznik Nr 2

Załącznik Nr 3

Projekt uchwały w sprawie w sprawie rozpatrzenia uwag wniesionych do projektu miejscowego planu zagospodarowania przestrzennego dla obszaru Helenki w Śremie i dokonania zmian w projekcie planu

Załącznik

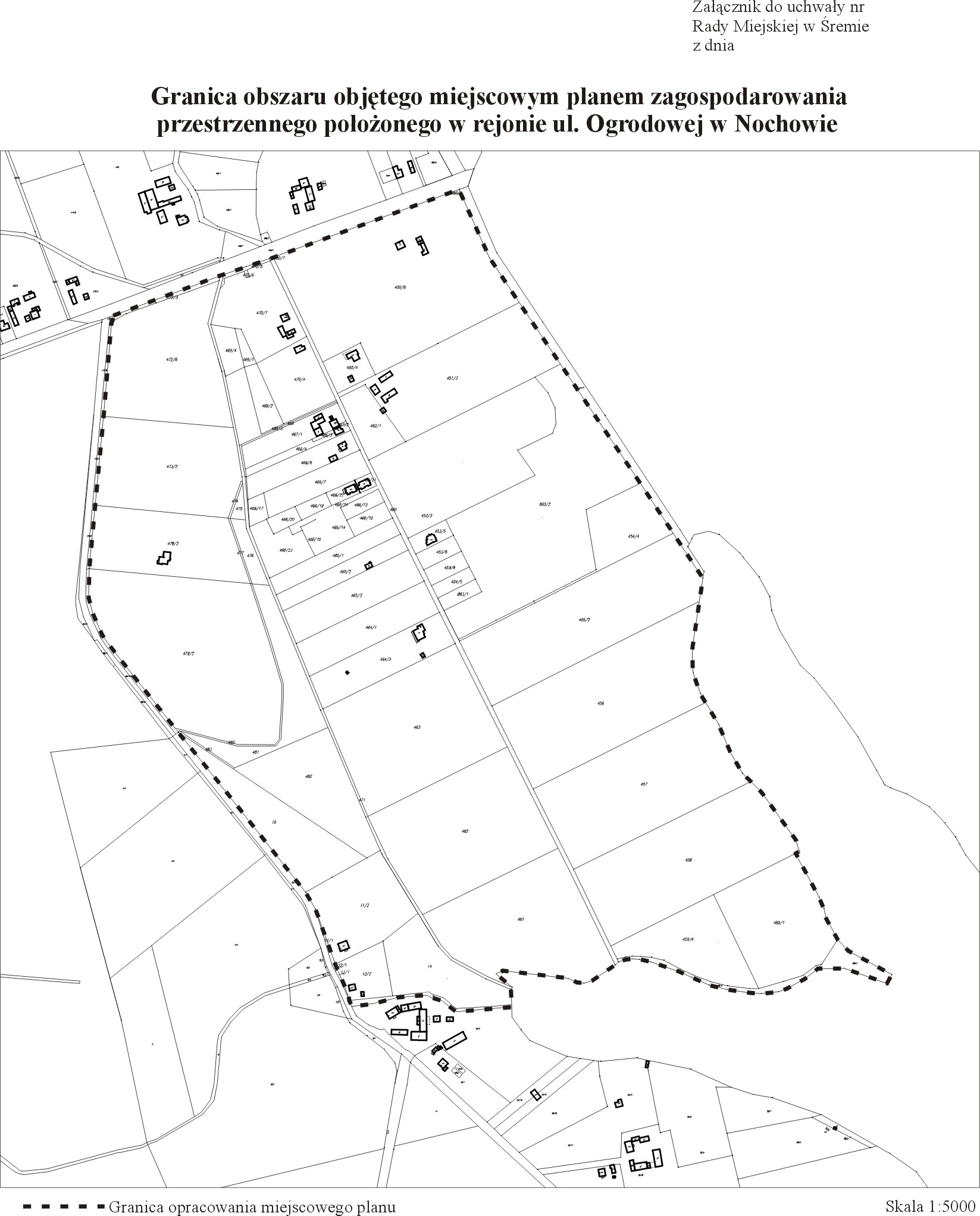
Projekt uchwały w sprawie przystąpienia do sporządzenia miejscowego planu zagospodarowania przestrzennego dla obszaru położonego w rejonie ul. Ogrodowej w Nochowie

Załącznik

Projekt uchwały w sprawie przystąpienia do sporządzenia zmiany miejscowego planu zagopodarowania przestrzennego w mieście Śrem dla obszaru położonego przy ulicach Kilińskiego i Grunwaldzkiej

Załącznik

Projekt uchwały w sprawie przyjęcia rozporządzenia Rady Ministrów z dnia 4 sierpnia 2006r. w sprawie udzielania przez gminy pomocy regionalnej na wspieranie nowych inwestycji lub tworzenie nowych miejsc pracy związanych z nową inwestycją

Załącznik Nr 1

Załącznik Nr 2

Projekt uchwały w sprawie odwołania Kierownika Urzędu Stanu Cywilnego w Śremie

Projekt uchwały zmieniającą uchwałę w sprawie zakresu i formy informacji o przebiegu wykonania budżetu gminy Śrem za I półrocze oraz informacji o przebiegu wykonania planu finansowego instytucji kultury

Projekt uchwały w sprawie powołania Kierownika Urzędu Stanu Cywilnego w Śremie

Projekt uchwały zmieniającą uchwałę w sprawie ustalenia wysokości stawek dotacji przedmiotowej dla zakładu budżetowego na 2006r.

Projekt uchwaly w sprawie wyrażenia zgody na zawarcie przez gminę Śrem umowy o dofinansowanie z Funduszu Rozwoju Kultury Fizycznej przedsięwzięcia p.n. Wymiana konstrukcji dachu wraz z pokryciem oraz wymiana wentylacji (z rekuperacją) w budynku pływalni w Śremie

Wytworzył:
Udostępnił:
Rymaniak Paweł
(2006-09-11 13:50:48)
Ostatnio zmodyfikował:
Rymaniak Paweł
(2006-09-25 10:20:36)

       DRUKUJ TĘ STRONĘ Obrazek drukarki