Prezentacja dokumentu:

Numer Z dnia Informacje o dokumencie
Pobierz dokument Załączniki
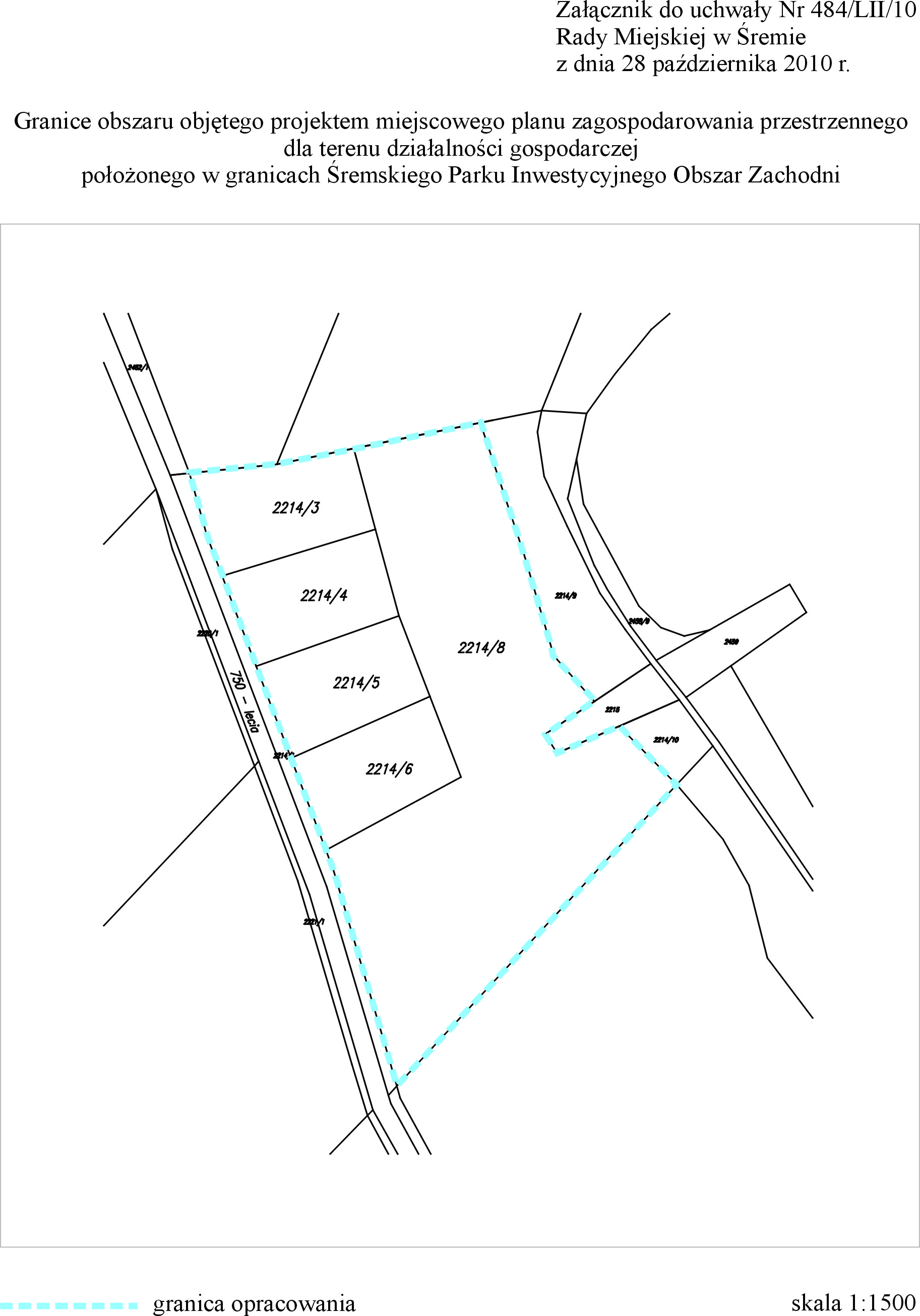
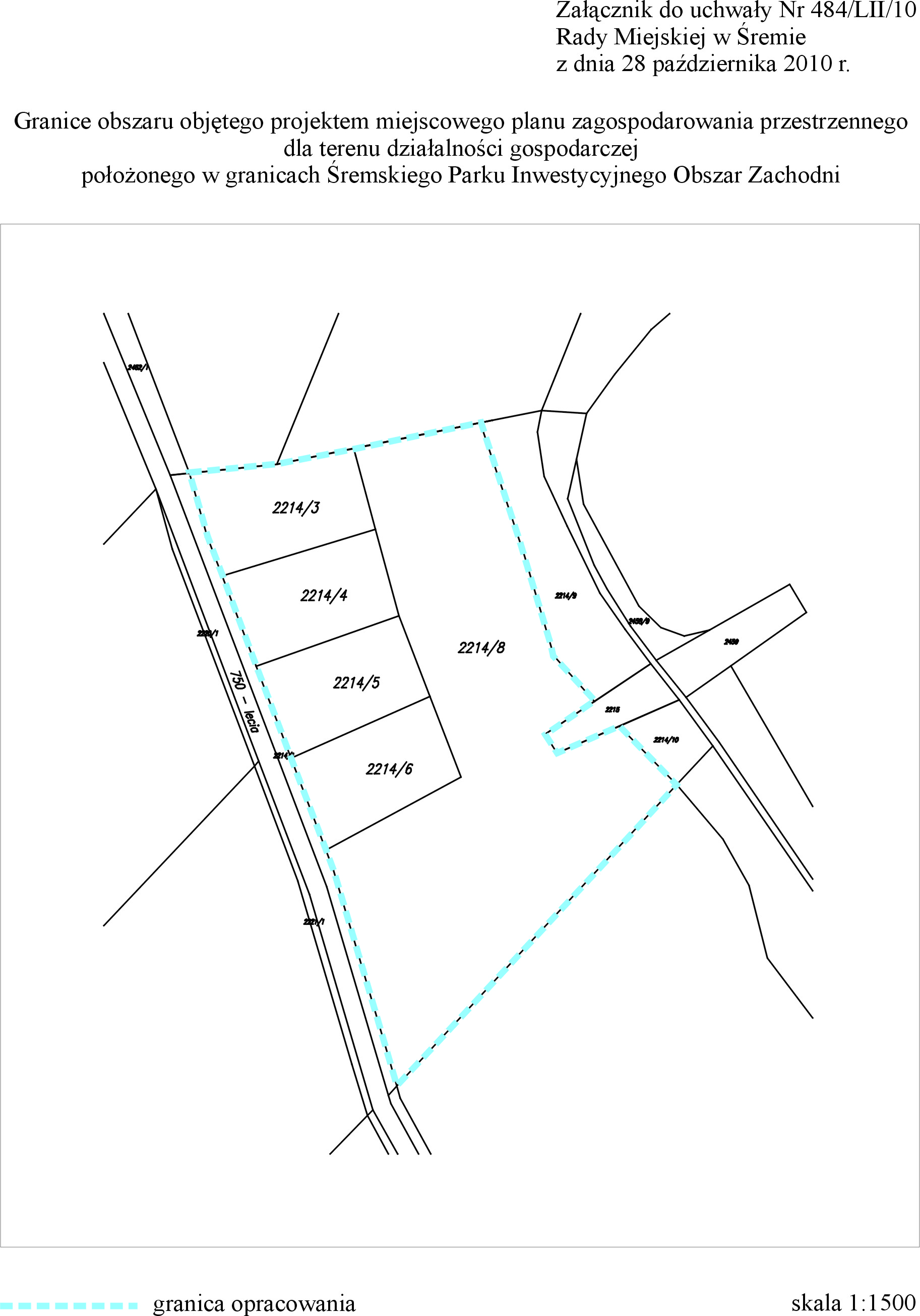
484/LII/10/ZAL1
Obowiązujący
Z dnia
(2012-02-06)
Granica obszaru objętego planem
Załącznik dokumentu
Autor dokumentu: Zofia Kłak
Udostępnił:
Wartecki Adrian
(2012-02-06 14:24:42)
Ostatnio zmodyfikował:
Pobierz - Granica obszaru objętego planem (519 KB)